Prodej - pozemek, ostatní, 80 m²
okr.Domažlice
13 000 KčProdej - pozemek, ostatní, 80 m²
okr.Domažlice
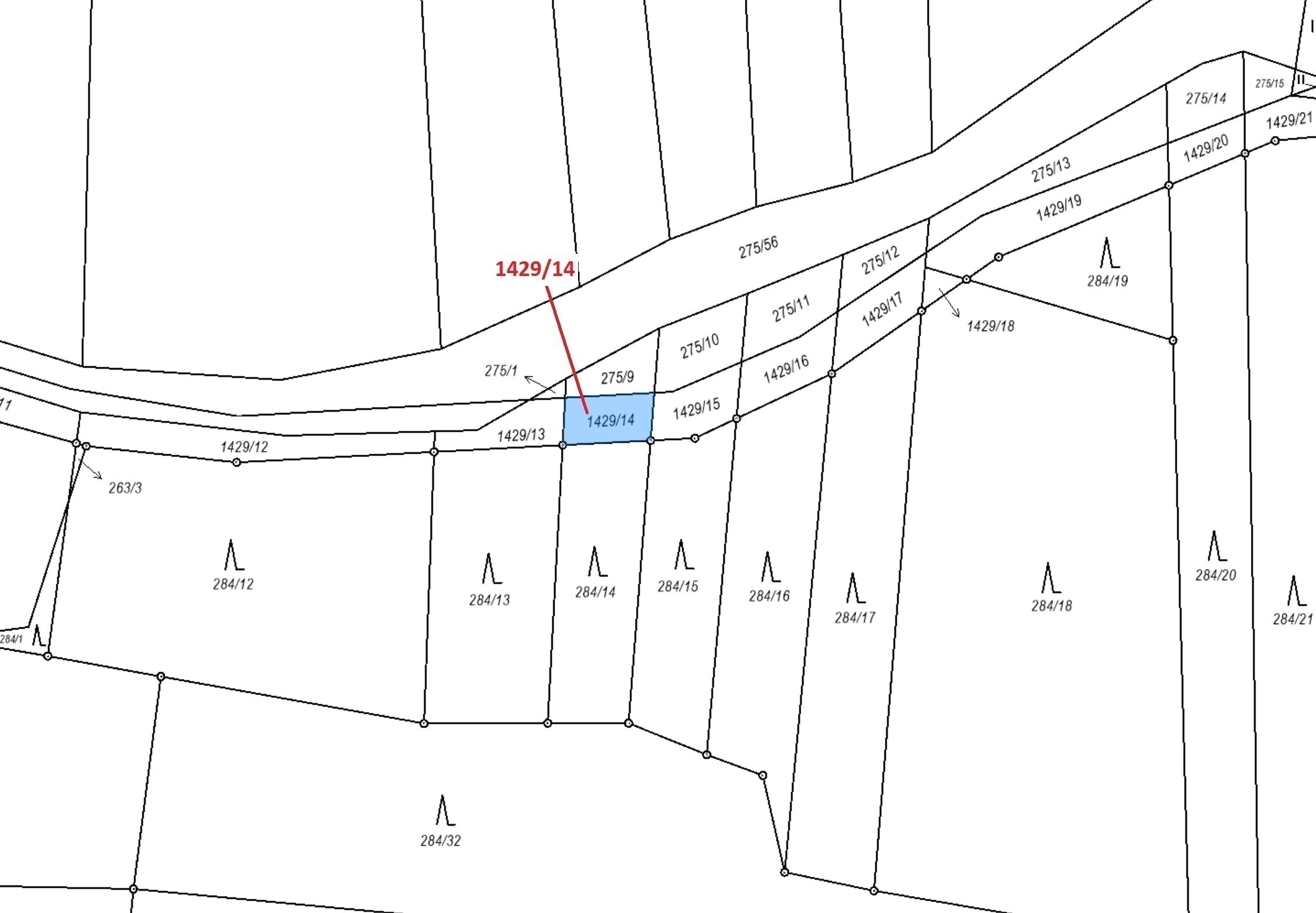
Ostatní plocha o výměře 80 m2, podíl 1/1, katastrální území Milavče, obec Milavče, obec s rozšířenou
| Cena: | 13 000 Kč |
| Plocha: | 80 m² |
| Číslo zakázky: | REALITYMIX-1956 D 003608 / 25 - 2 |
Podrobné informace
- Celková plocha: 80 m²
- Druh pozemku: ostatní
Právní rádce
-
Detail
V tomto článku shrneme nejdůležitější věci, které byste si měli promyslet, pokud se chystáte prodat svou nemovitost a chcete, abyste s kupujícím nemusel následně řešit vzniklé problémy.
Jako prodávající nesete rizika spojená nejen se samotným obchodem, ale i se stavem nemovitosti v době prodeje a pro minimalizaci rizik, je dobré se zamyslet nad uvedenými oblastmi.
-
Detail
Realitní makléř má své nezastupitelné místo v realitním obchodu. Realitním makléřem nemyslím nevzdělané jelito, které absolvovalo dvoudenní školení a ví, jak se nahraje inzerát na inzertní portál.
Realitním makléřem, který se Vám skutečně vyplatí, je zkušený profesionál, který je schopen Vám dobře poradit jak prodat za co nejvíc a s nejmenším rizikem a hlavně je Vás schopen obratně provést celým realitním obchodem.