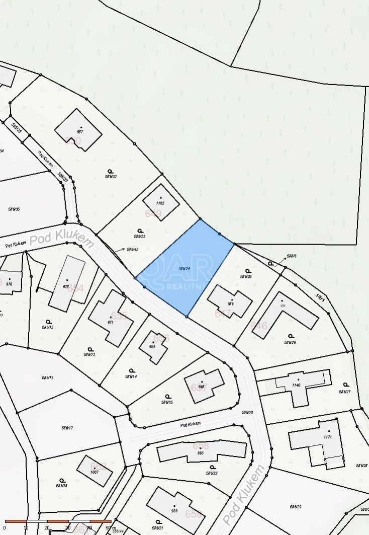
Prodej - pozemek pro bydlení, 1 037 m²
Beroun
10 400 000 KčProdej - pozemek pro bydlení, 1 037 m²
Beroun
Prodej stavebního pozemku 1037m2, Hýskov, okr. Beroun
Součástí prodeje předmětného pozemku je také vydané platné stavební povolení včetně kompletní projektové dokumentace na moderní rodinný dům.
Pozemek je kompletně oplocený ze všech stran, kompletně zasíťován v rozsahu elektrická přípojka, obecní vodovod, kanalizace a plyn, vše ukončena přímo na pozemku v pilířích.
Hýskov je obec v okrese Beroun ve Středočeském kraji, 4 km severozápadně od Berouna. Leží v údolí řeky Berounky, na jejím levém břehu, uprostřed lesnaté krajiny.
Nemovitost je možné financovat hypotéčním úvěrem.
V případě dotazů kontaktujte makléře
| Cena: | 10 400 000 Kč |
| Poznámka: | Cena včetně právního i realitního servisu. |
| Plocha: | 1037 m² |
| Číslo zakázky: | REALITYMIX-18176 |
Podrobné informace
- Celková plocha: 1037 m²
- Druh pozemku: pro bydlení
- Inženýrské sítě: vodovod, kanalizace, plyn, elektřina
- Doprava: vlak, silnice, autobus
- Komunikace: asfaltová
- Energetický ukazatel podle vyhlášky: č. 264/2020 Sb.
Právní rádce
-
Detail
V tomto článku shrneme nejdůležitější věci, které byste si měli promyslet, pokud se chystáte prodat svou nemovitost a chcete, abyste s kupujícím nemusel následně řešit vzniklé problémy.
Jako prodávající nesete rizika spojená nejen se samotným obchodem, ale i se stavem nemovitosti v době prodeje a pro minimalizaci rizik, je dobré se zamyslet nad uvedenými oblastmi.
-
Detail
Realitní makléř má své nezastupitelné místo v realitním obchodu. Realitním makléřem nemyslím nevzdělané jelito, které absolvovalo dvoudenní školení a ví, jak se nahraje inzerát na inzertní portál.
Realitním makléřem, který se Vám skutečně vyplatí, je zkušený profesionál, který je schopen Vám dobře poradit jak prodat za co nejvíc a s nejmenším rizikem a hlavně je Vás schopen obratně provést celým realitním obchodem.